Can a Non-Certified Site Plan Be Accepted for a Permit in the USA?

Can a Non-Certified Site Plan Be Accepted for a Permit in the USA?

If you’re applying for a building permit, one of the first documents most cities request is a site plan showing the layout of your property.

Many homeowners immediately wonder:

Do I need a certified site plan from a surveyor, or can a non-certified site plan be accepted?

The good news is that many U.S. cities and counties accept non-certified site plans for common residential permits. In fact, for smaller projects such as decks, sheds, fences, and pools, a professionally drafted non-certified site plan is often sufficient for approval.

However, the exact requirement depends on the type of project and the local permitting authority.

In this guide, I’ll explain when non-certified site plans are accepted, when you might need a certified survey, and how to choose the right type of plan for your project.


What Is a Non-Certified Site Plan?

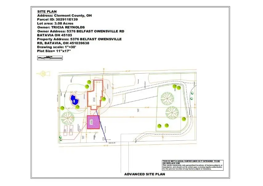
A non-certified site plan is a professionally drafted property layout that shows the key elements required by a building department but is not stamped or sealed by a licensed surveyor or engineer.

These plans are typically created using:

  • GIS parcel data
  • satellite imagery
  • public property records
  • municipal zoning requirements

A standard permit-ready site plan usually includes:

  • property boundaries
  • existing structures
  • proposed structures
  • driveway locations
  • lot measurements
  • setbacks from property lines
  • north arrow and scale

Most homeowners request this type of plan when applying for permits related to residential improvements.

What Is a Non-Certified Site Plan?

If you’re planning a project like a deck, garage, or fence, a typical Residential Site Plan often provides all the information cities require.


When Non-Certified Site Plans Are Usually Accepted

Across many U.S. municipalities, non-certified site plans are commonly accepted for smaller residential permits.

Examples include:

Deck permits

Cities often only require a layout showing the proposed deck footprint and setbacks.

Fence permits

Permit offices usually require property lines and fence placement.

Shed permits

A simple site plan showing the shed location and distances from property boundaries is often enough.

Pool permits

Many cities accept drafted site plans for pools if they clearly show equipment placement and required setbacks.
(See Pool Permit Site Plan.)

HOA approvals

Homeowners associations typically require a simple plan showing improvements within the property boundaries.
(See HOA Approval Site Plan.)

For these types of projects, a permit-ready site plan prepared by a drafting service is often acceptable.


When a Certified Site Plan May Be Required

Some projects require a certified site plan prepared by a licensed surveyor or engineer.

These situations typically include:

New home construction

Full surveys are often required for new builds.

Property subdivisions

Dividing land usually requires certified documentation.

Boundary disputes

Legal boundary verification requires a licensed survey.

Large commercial developments

More complex projects often require engineered site plans.

When a Certified Site Plan May Be Required

For these cases, municipalities require a stamped or sealed drawing confirming the exact surveyed property dimensions.


Why Many Cities Accept Non-Certified Plans

For smaller residential improvements, permit departments mainly want to verify:

  • the proposed structure location
  • distance from property lines
  • compliance with zoning setbacks
  • property layout relative to improvements

A well-prepared non-certified site plan can clearly show this information, allowing cities to evaluate permit compliance without requiring a full survey.

This is why many homeowners choose fast online drafting services, which can deliver permit-ready plans in 6–24 hours.

Site Plan Cost in 2026


How to Know What Your City Requires

Before ordering a site plan, it’s always a good idea to confirm your local requirements.

You can usually find this information on your city or county website under:

  • building permits
  • zoning permits
  • site plan requirements

In many cases, permit offices simply request a scaled drawing showing property boundaries and improvements.

If you’re unsure what your city requires, you can also request a custom quote or guidance through our Get a Quote page.


Residential vs Commercial Site Plans

Most non-certified plans are used for residential permits, which represent the majority of permit applications across the U.S.

Common residential projects include:

  • deck additions
  • garages
  • sheds
  • fences
  • patios
  • pools
  • home additions

These projects typically use residential drafting packages like the Home Permit Site Plan or ADU & Home Addition Site Plan.

Commercial projects often require more detailed drawings.

For example:

  • parking layouts
  • ingress and egress routes
  • landscaping plans
  • utility infrastructure

For these cases, businesses usually request a Commercial Site Plan.


How Fast Can You Get a Non-Certified Site Plan?

One of the biggest advantages of modern drafting services is speed.

Most professionally drafted site plans can be delivered within:

6 to 24 hours

This allows homeowners and contractors to move forward with permit applications much faster than traditional surveying timelines.

Many services also include free revisions, allowing updates if a city reviewer requests additional details.


Final Thoughts

Yes — many cities and HOAs in the United States accept non-certified site plans for common residential permit applications.

These plans provide the essential information permit offices need, including property boundaries, setbacks, and proposed structures.

However, larger developments, property subdivisions, and new home construction may still require certified surveys prepared by licensed professionals.

If you’re planning a residential improvement project, a professionally drafted non-certified site plan can often provide a fast, affordable, and permit-ready solution.


Need a Site Plan for Your Permit?

If you’re preparing for a permit application, we create clear, permit-ready site plans for residential and commercial projects across the United States.

Our plans are delivered quickly, include unlimited revisions, and are designed to meet the submission requirements of most municipalities and HOAs.

👉 View available packages or start your site plan today.

Table of Contents

Get a Free Quote

Simplified Site Plans for Permits — Fast, Accurate, and Drafted by Experts
Need a non-certified Site Plan, Floor Plan, or Elevation Drawing for your property? You’re in the right place — we deliver permit-ready drafts designed to meet local zoning and submission standards across the U.S.

BEST SERVICES

We Commit

Privacy Policy
Return Policy
Terms & Conditions
By State
Do Not Sell My Personal Information

Get a Quote

Copyright © 2025 Site Plans online USA

Get Your Site Plan

🔥 Limited-Time Offer: Get 10% OFF your first order — only 13 days left!